L M Bickett Lands
LeRoy McVey "Roy" Bickett was born May 1, 1883, in Xenia Twp., Greene Co., OH.
On July 1, 1848, Samuel "Sam" Lynard Homesteaded Document 25225 40 acres in NW 1/4 of the SE 1/4 Section 2, Hustisford Township 10, North of Range 16 E, Dodge Co., WI.
On January 1, 1851, Samuel "Sam" Lynard Homesteaded Document 34803 40 acres in SW 1/4 of the NW 1/4 Section 11, Shields Township 9, North of Range 14 E, Dodge Co., WI.
On May 1, 1855, Samuel "Sam" Lynard Homesteaded Document 35787 40 acres in SE 1/4 of the SW 1/4 Section 10, Shields Township 9, North of Range 14 E, Dodge Co., WI.
On May 1, 1855, Samuel "Sam" Lynard Homesteaded Document 38047 40 acres in SW 1/4 of the NW 1/4 Section 10, Shields Township 9, North of Range 14 E, Dodge Co., WI.
On May 3, 1858, Samuel "Sam" Lynard Homesteaded Document 35773 40 acres in NE 1/4 of the NE 1/4 Section 15, Shields Township 9, North of Range 14 E, Dodge Co., WI.
Samuel "Sam" Lynard died July 25, 1887, at his home, Town of Shields, Dodge Co., WI. Buried in St. Bernard's Cemetery, Watertown, Jefferson Co., WI.
The Juneau Telephone, Juneau, Dodge Co., WI, July 29, 1887
Death of Samuel Lynard.
The town of Shields is once more called upon to morn the death of one of her oldest citizens. Mr. Samuel Lynard peacefully passed from the earth, at his home, two miles-west of Richwood on Monday, July 25, 1887. We have known the deceased as far back as our memory reaches and can testify to the fact that no community was ever blessed with the personage of a better neighbor, or an honester man. Always pleasant, witty and entertaining, socially, Sam, as he was familiarly called was the life of every gathering he honored with his presence. He always looked on the cheerful side of life, had a pleasant word for everybody and never, we believe, knowingly did anyone a personal injury. He was keenly sensitive to the feelings of others and rather than impose deserved censure, would wisely keep silent. If ever called upon to do so, he would speak of the faults of others more in pity than in blame. He was strictly temperate, in his habits, pious in his devotions and ever-countenanced anything but the purest conversation. In speaking well of the dead, we have no desire to flatter the living relatives. We speak of Mr. Lynard in death as we knew him in life, and understanding the merits of our subject, we are conscious of our unability to do his memory ample justice. His funeral rites were conducted by Rev. Father Tierney, in St. Joseph's church, Richwood on Wednesday, and the remains followed to St. Bernard's cemetery, Watertown, by a large concourse of mourning friends, where all that was mortal of the good man, were tenderly entombed in mother earth, there to await the resurrection morn. The deceased was born in Maynooth, Co. Kildare, Ireland in 1812. At the age of 32 he emigrated to the new world and settled in Farmington, Ontario Co., New York. He came to Wisconsin in 1846 and settled at Hustisford, Dodge Co. In 1848 the family settled in Shields and four years later, took up his abode on the farm from which his remains were carried last Wednesday. He leaves a wife and five daughters to mourn the loss of a kind husband and indulgent parent. His surviving children are Mrs. George Donovan and Mrs. Daniel Rutledge, of Emmetsburg, Iowa, Mrs. Timothy Warner of Jefferson, Wis., Mrs. Patrick Joyce of Youngstown, Ohio; and Miss Lizzie, who remained with her parents on the old homestead.
By 1905, Friedrich Charles "Fred" Sommerfeldt owned with a mortgage the Ranch land in the Town of Shields, Dodge Co., WI.
Friedrich Charles "Fred" Sommerfeldt died February 22, 1934, in Watertown, WI. Buried in St. John's Lutheran Cemetery, Watertown, Dodge Co., WI.
In 1940, Fred's son, Milton Sommerfeldt (age 30) is an unmarried Farmer, and 5 years ago was living in the Same House, and with 4 Years of School.
In anticipation of the time when he can retire from more active life he has acquired a number of adjoining farms representing a total in excess of 700 acres, and it is his plan to convert this into a ranch, specializing in the raising of steers, sheep, poultry and the usual line of grain crops. This project will be known as Le-Ki-Re Ranch a duplicate of the dude ranches found in the western states.
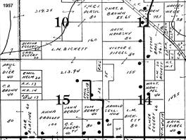
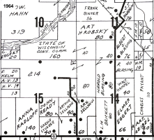
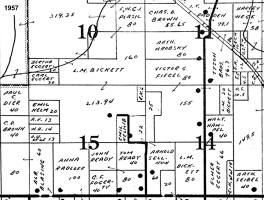
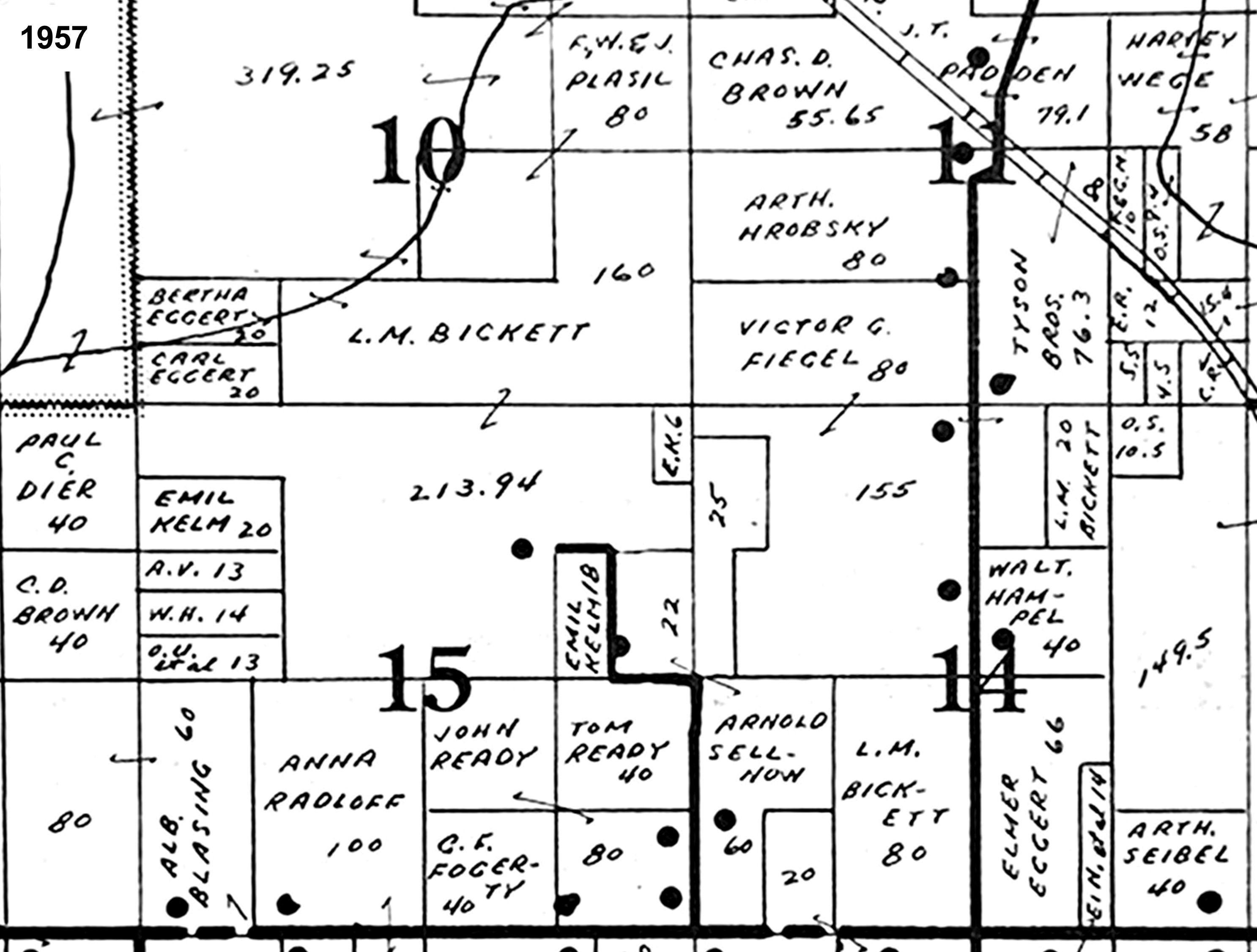
During the mid-1940s Mr. Bickett decided the time had come to buy the farmland he said he always wanted to buy, to replace that which his grandfather Adam Reed Bickett had lost following the Civil War, so he bought several farms totaling 734 acres near Richwood, Dodge Co., WI. One of the farms turned out to be completely unsuitable for farming operations, so he decided to dredge it out, creating a pond, and turn it into a wildlife refuge. This was an extremely expensive operation, and he had a difference of opinion with the Internal Revenue Service over his claims he had been advised this was an operating expense and should not be capitalized. He contested the tax assessment, without success, and of course with prolonging the affair the penalties grew larger. His preoccupation with this matter had a greatly adverse effect on his health. Financially the whole affair of the "ranch" was a disaster. Before his death he agreed to sell part of the farm property to the Wisconsin Department of Natural Resources, and this area is still used for wildlife.
By 1930, the road was named Sommerfeldt Road.
By 1940, the road was named Tom Ready Road.
By 1958, the road was named Ranch Road.
Emil Otis Kelm had 3 years of School.
Shown above in chronological order are the lands LeRoy McVey "Roy" Bickett purchased late 1944 in the Town of Shields, Dodge Co., WI. The last of his land holdings were sold 1966 - 1971 by his widow, Gertrude Patricia Pearl "Gertie" (Baker) Bickett.
On July 11, 1940, the Wisconsin Department of Agriculture performed aerial surveys of the Town of Shields, Dodge Co., WI.
Several images extracted from the 1940 aerial photos of the Town of Shields, Dodge Co., WI, show the existing land use and structures. LeRoy McVey "Roy" Bickett purchased his lands in the winter of 1944, when snow covered the lands. In the spring it was discovered that o ne of the farms turned out to be completely unsuitable for farming operations, so he decided to dredge it out, creating a pond, and turn it into a wildlife refuge.
A partial 1955 topography map for the Town of Shields, Dodge Co., WI.
This partial 1955 topography map for the Town of Shields, Dodge Co., WI, shows the gravel road constructed by LeRoy McVey "Roy" Bickett that proceeds east from Ranch Road through swampy lands, then passing north through the woods, going past the sand and gravel pit, and exiting to the east at Walton Road.
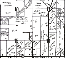
Reed Larson's locators map, compiled in 2022, for Le-Ki-Re Ranch, Town of Shields, Dodge Co., WI.



























